Auction Type:

  • Absolute
  • Absolute

ABSOLUTE AUCTION!

528 Polly Thicket Road - Murfreesboro, TN

SOUTHERN RUTHERFORD COUNTY! Easy Access to Highway 231

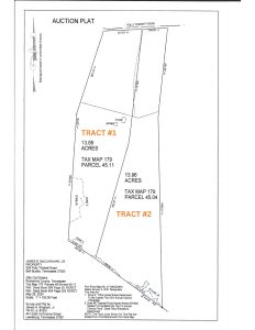
Tract 1 – OLDER HOME & 13.88 ACRES Nice Wooded tract w/ some open land around house site. Dry Fork Creek on back of property.

Tract 2 – 13.96 ACRES Nice Wooded Tract with mature trees. Dry Fork Creek on back of property.


Land hasn’t been soil tested. Buyers free to inspect.

TERMS: REAL ESTATE: 20% CASH OR APPROVED CHECK DAY OF SALE, BALANCE WITHIN 30 DAYS. POSSESSION GIVEN W/ DEED. 10% BUYERS PREMIUM ADDED TO FINAL SALES PRICE.

RESERVE THE RIGHT TO RE-GROUP ANNOUNCEMENTS MADE DAY OF SALE TAKE PRECEDENCE OVER ALL ONLINE ADVERTISING & PREVIOUS ADVERTISING

ANNOUNCEMENTS MADE DAY OF SALE TAKE PRECEDENCE OVER ALL ONLINE ADVERTISING & PREVIOUS ADVERTISING

License #547

CONTACT CRAIG & WHEELER

This field is for validation purposes and should be left unchanged.

All data is deemed reliable but not guaranteed. There are no expressed or implied warranties of this property and/or this data. Neither Craig & Wheeler, their agents or Information providers shall be liable and/or responsible for any misprints, typographical errors, misinformation and shall be held totally harmless. All properties on this site are subject to prior sale, changes or withdrawal. Craig & Wheeler recommends you view and inspect the property prior to purchase.

The data relating to real estate for sale on this web site comes in part from the Internet Data Exchange Program of RealTracs Solutions. Real estate listings held by brokerage firms other than Craig & Wheeler are marked with the Internet Data Exchange Program logo or thumbnail logo and detailed information about them includes the name of the listing brokers. The broker providing these data believes them to be correct, but advises interested parties to confirm them before relying on them in a purchase decision. Information Is Believed To Be Accurate But Not Guaranteed.